釣行日データ
| 釣り人釣り人 | 福本 勉 | 釣行日時 | 2026年3月29日 |
| 場所 | 大分県 佐伯市米水津 | 天気 | 晴れ |
| 潮 | 若潮 | 使用船 | — |
読者の皆さま、こんにちは〜♫
釣りに行ってますかー(笑)
春ですね〜♫
ようやく気温が高くなり、気持ち良い日が続いています。
私が住んでいる大分県は桜の開花宣言がでましたよ!
読者の皆さまのところはいかがでしょうか?
まだまだ3分咲きぐらいなので、満開が楽しみであります。
さて、年度末の3月は例年通り忙しく少しバテ気味な私…。
そして何故か今年は花粉に身体が反応してしまい、体調が余り良くはありませんでした(泣)
でも辛かった事ばかりではありませんよ、はい!WBC 「2026ワールド・ベースボール・クラシック」です!
残念ながら侍ジャパンは準々決勝で敗退しましたが、国民を凄く熱くさせてくれましたね、マジ感動をありがとうございました。
次回はまた頂点を目指して熱くなりたいですね、楽しみにしております!
さぁ3月もあと少しで終わり新年度を迎えます。
やることをしっかりと終えて、気持ち良く新年度を迎えましょうね!
釣り友の小川さんから
「ようやく仕事が落ちついたから釣りに行こう!」との連絡があり、もちろん断ることもなくオッケー!
しかし2人とも年度末の疲れが溜まっており沖磯を断念して、のんびり地磯でも行くことにしました。
当日は、明るくなってから自宅を出発し、のんびりと津久見方向へ。
地磯ハンターの小川さんが良さそうなポイントをリサーチして、釣り場を決定です。
のんびり雑談しながら準備をして釣り開始です!



マキエを足元に打つと、スズメダイがチラホラ…。
流石にこの時期ともなると水温低下でによって、魚の動きが悪いです。
本日はチヌ狙いの私ですが、なんでも良いので魚を掛けてロッドを曲げて楽しみたいところであります。
早速、小川さんにアタリ!
良い感じでロッドが曲がっており浮いてきたのは30オーバーのグレ!
これを皮切りに私にもアタリがありグレをゲット!
2人とも幸先の良いスタートであります。


その後も同サイズが数枚釣れたところで、ピタっとアタリが止まってしまいました…。
その後1時間は何もアタリが出ず沈黙状態が続きましたが、その時小川さんに会心のアタリ!
かなりの重量感の引きで上がってきたのは、なんとマダイ!
50センチオーバーの綺麗なマダイでありました。
流石は地磯ハンター、あっぱれでありました(笑)

そして小川さんの釣果を羨ましく見惚れていて油断していた私にもラインが吹っ飛ぶアタリ!
なんとこれまたマダイでビックリでありました。

流石にグレ、マダイときたら本日のターゲットのチヌが釣りたいところでありますが中々上手くいきません…。
そして正午ぐらいに上げの潮が入ってきたのか気配がガラっと変わり、釣れそうな予感…。
と思っていたらラインがすうっと伸びるアタリ!
独特の引きでチヌと断定、慎重に寄せてきてタモにゲット!
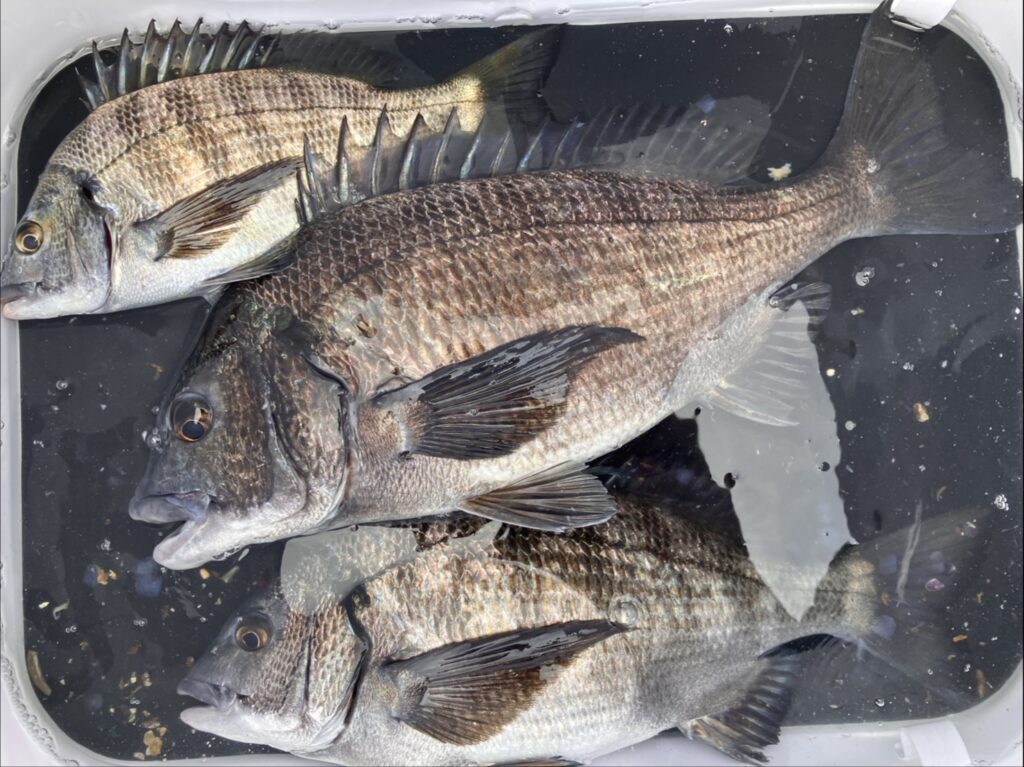
本日ずっと待ちわびていた本命のチヌでありました!
いや〜型は中型でありましたが、なんともうれしいチヌでありました。
お腹も大きくなっておりノッコミシーズン到来を感じました。


その後もチヌがアタってくれて、大変満足な釣行でありました。
最後に、釣り場を綺麗に清掃し帰路に着きました。
本日お世話になりました小川さん、ありがとうございました。
まさかこんなに釣果があるとは思ってなかったのでビックリでしたね♫
さぁ気分もスッキリ、新年度も頑張っていきますよ〜!


マキエとツケエ

「チヌパワームギスペシャル」(2袋)+「湾チヌスペシャルⅡ」(1袋)+オキアミ 6kg(2角)+海水
「食い渋りイエロー」、「特鮮むきエビ」、「くわせオキアミ食い込みイエロー」Lサイズ
仕掛け

竿/がま磯 枯冴 中硬 5.3m(がまかつ)、リール/BB-Xテクニウム2500DXG(シマノ)、道糸/ナイロン 1.5号、ハリス/フロロカーボン 1.5号、ウキ/Gz遠投 00(ザクシス)、ハリ/チヌバリ 2号
釣りをした人

福本 勉(ふくもと つとむ)フィールドテスター
ホームグラウンドは大分県の磯、
堤防。週末にフカセ釣りを楽しむサンデーフィッシャー。
最近は大分市内の手軽な釣り場でのチヌ釣りを研究中。
大分県大分市在住。
→福本勉さんの関連記事


