釣行日データ
| 釣り人釣り人 | 福本 勉 | 釣行日時 | 2026年2月15日 |
| 場所 | 大分県 佐伯市鶴見 | 天気 | 晴れ |
| 潮 | 中潮 | 使用船 | 速見丸 |
読者の皆さま、こんにちは〜♫
釣りに行ってますかー(笑)
ミラノ・コルティナ2026オリンピックが閉幕し、脱力中の私…。
選手の熱い想いが、ひしひしと伝わってきて観ている我々もマジ熱くなりましたよね。
特に終盤のフィギュアスケートの「りくりゅう」ペアには読者の皆さまも心を打たれたんじゃないでしょうか?
観ている私もハラハラドキドキ…、演技が終えるとテレビの前でガッツポーズ!
いや〜、マジ感動しちゃいましたよ(泣)
全競技の選手の皆さま、熱い感動をありがとうございました!
さて、熱い戦いはまだまだ続きます。
3月5日からWBC 「2026ワールド・ベースボール・クラシック」、そして3月6日からはミラノ・コルティナ2026パラリンピックが開幕!
体育会系の私にとっては、いっとき仕事どころじゃない日々が続いていきそうです。
頑張れ、日本!!
食いが落ちていた大分県のグレ…。
しかし、最近また調子がよくなったようで、各エリアから良型グレがよく釣れている便りが届いております。
私も今期の寒グレは、40cmオーバーのグレをよく釣っており、大変満足しています。
「速見丸」のイチロー船長に最近の状況を尋ねると、
「日ムラ、場所ムラはあるけれどデカいのが釣れてますよ、期待してください!」とのビッグマウス…(汗)
マジか…。
そう言う熱い話しを聞くと、すぐのせられてハマってしまい釣行決定な私…(笑)
今回は鶴見、速見丸さんにお世話になり遊んできましたよー!
早朝6時出船で沖に向かいます。
やはり天気予報どおり、北東の風と東よりの波が入ってるせいか渡れる磯は限られていてイチロー船長は慎重に見極めて釣り人を降ろしていきました。
私は「小間の南の裏」に上礁、風も当たらなくて居心地ヨシ!



流石はイチロー船長、ありがとうございました!
後は私がバッチリ釣果をあげてイチロー船長に自慢するだけであります(笑)
早速準備をし、釣り開始!
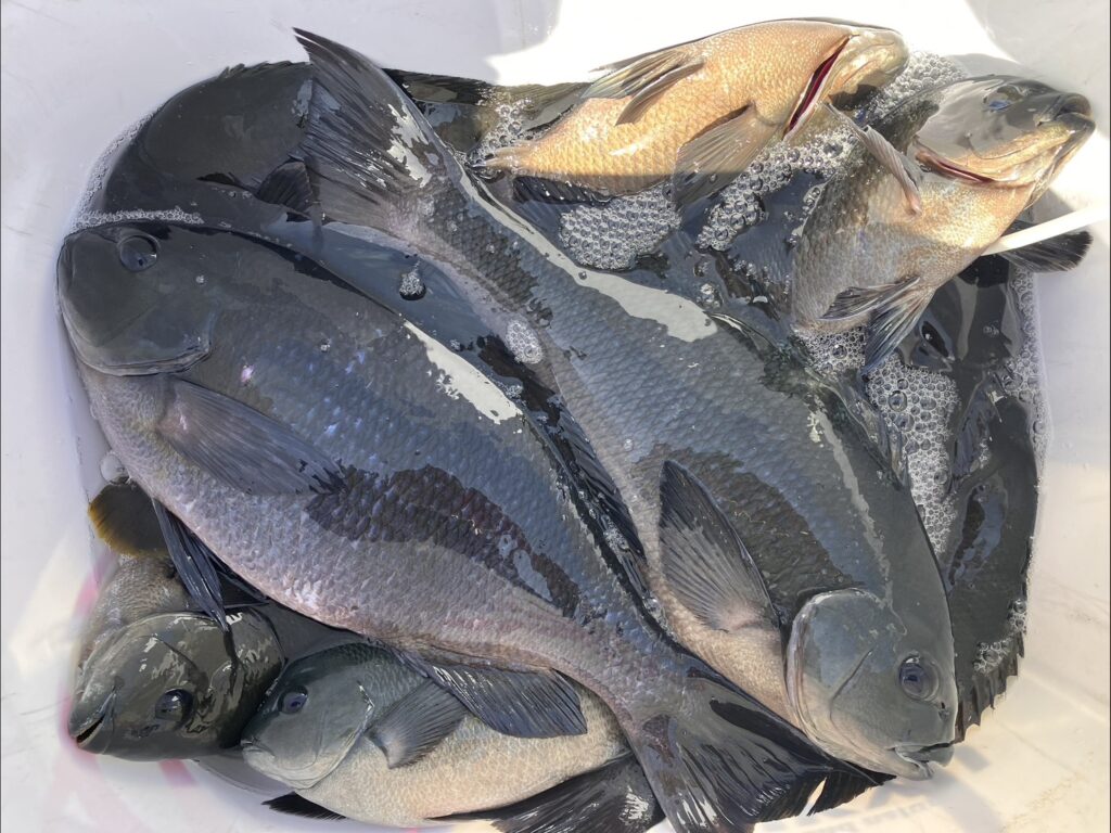
これがまた1投目からアタリを捉えてグレをゲット!
幸先のよいスタートです。
その後もアタリはあるもののハリ掛かりしないので、かなり待ってのアワセでようやくグレをゲット!
やはり食いが渋いのか、口先だけに掛かっていました。
パターンを掴めばこちらのもの、45cmクラスを2枚含めて数釣りを堪能しましたよ。3月なのにこの釣果は自分でもビックリでした!




港に戻って他の皆さまの釣果を聞くと、これまた素晴らしい釣果ばかりで、大島の「赤岩」で釣りをしていた釣り友の神田くんも良く釣っており見事な釣果でありました。
流石は若手のホープ!
頼もしいヤングアングラーであります。

本日お世話になりました「速見丸」の光四郎船長、イチロー船長、一日楽しいひと時をありがとうございました。
また遊びに来ますので、よろしくお願いいたします。


マキエとツケエ

「グレパワーV9徳用」(2袋)+「M.S.P(S)レッド」(1袋)+オキアミ 6kg(2角)+海水
「くわせオキアミV9」Mサイズ
仕掛け

竿/がま磯マスターモデル口太ⅡM-5m(がまかつ)、リール/BB-Xテクニウム2500DXG(シマノ)、道糸/ナイロン 1.5号、ハリス/フロロカーボン 1.5号、ウキ/Gzタイプ1 0(ザクシス)、ハリ/グレバリ 4号
釣りをした人

福本 勉(ふくもと つとむ)フィールドテスター
ホームグラウンドは大分県の磯、
堤防。週末にフカセ釣りを楽しむサンデーフィッシャー。
最近は大分市内の手軽な釣り場でのチヌ釣りを研究中。
大分県大分市在住。
→福本勉さんの関連記事


